Gradjevinske Parcele za Kuće
SAGA EXPERT
Tlocrt nije dostupan

Gradjevinske Parcele za Kuće

30 KM

Rata od: 0 KM

BiH | ID: 10023

Građevinske parcele u Banja Luci – Idealne za izgradnju kuće

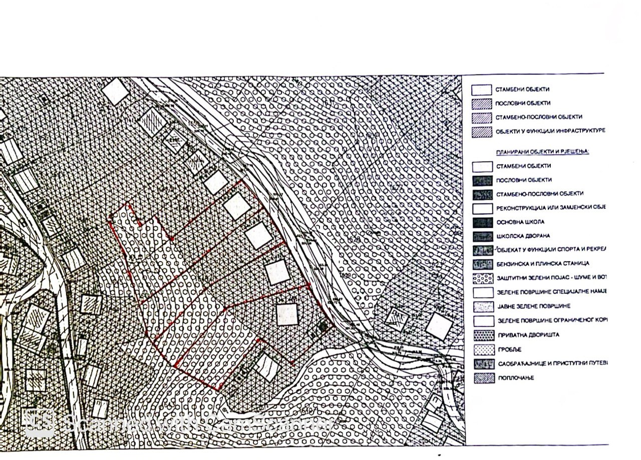
U ponudi imamo povoljno građevinsko zemljište u ulici Z. Zgonjanina, izvan centra grada, savršeno za one koji žele izgraditi porodični dom u mirnom i urbanistički uređenom okruženju.

Parcele su prilagođene individualnoj gradnji (P+1+M) prema regulacionom planu, a dostupne su sljedeće površine:

  • 1400m² (uključuje pomoćni objekat)
  • 995m²
  • 994m²
  • 1263m²

Sve parcele imaju direktan pristup asfaltiranom putu, dok vodovodna i elektro mreža prolaze neposredno uz zemljište, čime je infrastruktura već pripremljena za buduću gradnju. Vlasnički papiri su uredni, što osigurava brz i siguran proces kupovine.

Cijena: 30 KM/m²

Za više informacija i pregled dokumentacije, kontaktirajte nas:
Saga Nekretnine
Tel: +387 66 693 368 ili +387 65 511 121

________________________________________________________________________

Building Plots for Sale in Banja Luka – Ideal for House Construction

We are offering affordable building plots in Z. Zgonjanina Street, outside the city center, perfect for those looking to build a family home in a peaceful and well-planned environment.

The plots are suitable for individual construction (P+1+M) according to the regulatory plan, with the following available sizes:

  • 1400m² (includes an auxiliary building)
  • 995m²
  • 994m²
  • 1263m²

All plots have direct access to an asphalt road, while water and electricity networks run alongside the land, making it ready for future construction. Ownership documents are in order, ensuring a smooth and secure purchase process.

Price: 30 KM/m²

For more information and to review the documentation, contact us:
Saga Nekretnine
Tel: +387 66 693 368

Osnovne informacije

Cijena po m² 0 KM
Kvadratura 5.800 m²
Struktura Na upit
Sprat Na upit
Tip nekretnine Stan
Namjena Na upit
Ukupno spratova Na upit
Stanje nekretnine Na upit
Godina gradnje Na upit
Namještenost Na upit
Broj soba Na upit
Spavaće sobe Na upit
Broj kupatila Na upit
Visina plafona (m) Na upit
Energetski razred Na upit
Tip gradnje Na upit
Grijanje Na upit
Stolarija Na upit
Vrsta poda Na upit
Orijentacija Na upit
Parking Na upit
Garažna mjesta Na upit
Površina parkinga/garaže (m²) Na upit
Tip pomoćnog objekta/prostora Na upit
Površina pomoćnih objekata/ostava (m²) Na upit
Useljivo od / Raspoloživo od Na upit
Lift Na upit

Pravni status i uslovi prodaje

Pravni status (Uknjiženo) Na upit
Građevinska dozvola Na upit
Upotrebna dozvola Na upit
Vlasnička dokumentacija Na upit
Tereti Na upit
Hitnost prodaje Na upit
Mogući načini plaćanja Na upit

Lokacija

Tačna lokacija će biti prosljeđena nakon što razgledanje nekretnine bude zakazano.

Napomena

Ukoliko je ova nekretnina na nekom drugom mjestu oglašena sa nižom cijenom, koju je prethodno odobrio vlasnik nekretnine, niža cijena takođe važi i u našoj ponudi.

Kreditni kalkulator

Rata od:
%
%

Iznos kamate

Učešće

Ukupan iznos kredita

Ukoliko želite da dobijete informacije o približnoj rati kredita, najbrže rješenje je kreditni kalkulator. Potrebno je da unesete iznos učešća, željeni period otplate i kamatu i tako jednim klikom možete doći do visine mjesečne rate kredita. Međutim, ova brza metoda obračuna je i neprecizna jer vam ne može dati odgovor na sva pitanja o kreditiranju i ne može da pronađe najbolju bankarsku ponudu.

Druga slična nekretnina

Pogledaj sve
Cijena na upit

Prodaja • Kuća

Banja Luka


Kuća 279 m² 8+ soba
Cijena na upit

Prodaja • Kuća

Lazarevo/Budžak, Banja Luka


Kuća 200 m² 8+ soba
260.000 KM

Rata od: 1.493 KM

Prodaja • Stan

Lazarevo/Budžak, Banja Luka


Stan 0 m² Četvorosoban
Cijena na upit

Izdavanje • Stan

Obilićevo/Mejdan, Banja Luka


Stan 55 m² Dvosoban
Cijena na upit

Prodaja • Stan

Lauš, Banja Luka


Stan 0 m² Jednosoban
Cijena na upit

Izdavanje • Poslovni prostor

Kočićev Vijenac/Hisete, Banja Luka


Poslovni prostor 70 m² Trosoban

Izdvojene oglasne prodaje

Pogledaj sve
Cijena na upit

Izdavanje • Poslovni prostor

Kočićev Vijenac/Hisete, Banja Luka


Poslovni prostor 70 m² Trosoban
320.400 KM

Rata od: 1.840 KM

Prodaja • Stan

Lazarevo/Budžak, Banja Luka


Stan 72 m² Trosoban
560.000 KM

Rata od: 3.216 KM

Prodaja • Stan

Centar, Banja Luka


Stan 85 m² Četvorosoban
255.000 KM

Rata od: 1.464 KM

Prodaja • Kuća

Šargovac, Banja Luka


Kuća 84 m² Jednosoban
275.000 KM

Rata od: 1.579 KM

Prodaja • Stan

Borik, Banja Luka


Stan 67 m² Trosoban
Cijena na upit

Izdavanje • Stan

Centar, Banja Luka


Stan 60 m² Trosoban

Istražite naše gradove

Kreditni savjetnik

Potrebna vam je pomoć oko kredita? Potpuno besplatno!

Kreditni savjetnik vam može dati odgovore na sva pitanja u vezi sa kreditima za stan i ostalim kreditima.


ili pozovite kreditnog savjetnika na broj

+387 51 963 960

Često postavljana pitanja

Šta znači dostupnost 24/7?

Dostupnost 24/7 znači da naš sistem i platforma rade za vas bez pauze, u bilo koje doba dana ili noći. Možete pristupiti bazi nekretnina, pregledati opise i fotografije te poslati zahtjev za zakazivanje razgledanja u bilo kom trenutku.

Šta je online pretraga nekretnina?

Online pretraga omogućava da pregledate ponudu nekretnina putem naše platforme, filtrirate po lokaciji, cijeni, tipu nekretnine i drugim kriterijima. Sve informacije su dostupne 24/7 bez potrebe za fizičkim posjetom agenciji.

Kako online agencija pomaže u pregovorima?

Naš tim posreduje između kupca i prodavca putem telefona, emaila ili video poziva. Pomažemo u dogovoru oko cijene, uslova plaćanja i ostalih detalja transakcije.

Zašto agent ne prisustvuje razgledanju stana?

Online model omogućava da razgledanje organizujete direktno sa vlasnikom, što je brže i fleksibilnije. Agent je dostupan za sva pitanja prije i poslije razgledanja putem telefona ili online.